This is the story of Moya, an endangered green sea turtle, the newest arrival at the Two Oceans Aquarium's turtle rehab-and-release facility. Amazing accomplishments are possible when people work together - Moya's story exemplifies this.

On 5 October, Janet Byrne came across what she thought was a dead turtle washed up on Cola Beach near Sedgefield. She was in for a surprise...

“So glad he is receiving your special care and happy that I helped save him. Thought he was dead and got such a shock when I turned him over and he moved his flippers.” – Janet Byrne addressing Tenikwa.

This green turtle was found motionless, on its back. Photo courtesy of Janet Byrne.
When rolled over, the turtle slowly began to move - Janet knew she needed to call help when she saw these signs of life. Photo courtesy of Janet Byrne.

Janet quickly reported this find to Tenikwa Wildlife Awareness & Rehabilitation Centre, who guided her through the steps of stranded animal first responder actions and contacted the relevant authorities to coordinate the process. The turtle was quickly attended to by a team from Sedgefield Animal Matters and SANParks Garden Route National Park. This team was able to secure the turtle and take it to the Tenikwa Wildlife Awareness & Rehabilitation Centre in Plettenberg Bay.

Photo courtesy of Tenikwa.

The turtle was admitted to Tenikwa's Wildlife Hospital where the veterinary staff worked tirelessly to rehydrate and stabilise it. A large open wound on the turtle's flipper was also identified. Thanks to Tenikwa's ongoing care, this turtle's condition stabilised and it received the designation "17/213" - admission 213 of 2017.

Warm and safe, the veterinary staff at Tenikwa took good care of this stranded turtle. Photo courtesy of Tenikwa.

By 10 October, it was decided that 17/213 was strong enough to be moved to the Two Oceans Aquarium's rehab-and-release centre, where facilities are better able to treat the wound to its flipper and provide long-term care. Thanks to the generosity of CemAir, that morning the turtle was secured in a comfy crate and loaded aboard a flight to Cape Town International Airport.

"Thanks CemAir for flying me safely to Cape Town." - Moya the green turtle. Photo courtesy of Tenikwa.
Not your average cargo. Photo courtesy of Tenikwa.

Upon arrival in Cape Town, Two Oceans Aquarium staff quickly collected the turtle and brought it directly to the Aquarium's veterinary clinic, for an inspection of its wounds to ensure no further harm was done during the flight. When we were confident that 17/213's condition was stable, it was time to begin the slow process to recovery.

Injured flippers allow you to park in handicap zones. Photo courtesy of Ayrton King.

The Two Oceans Aquarium's turtle rehab team were able to determine that this green turtle is a juvenile aged 8 to 12 years. Long tails are often an indicator that a turtle is male, but we can't be sure yet and we will just use the "he" pronoun for now - determining the sex of sea turtles is notoriously difficult.

Photo courtesy of Ayrton King.

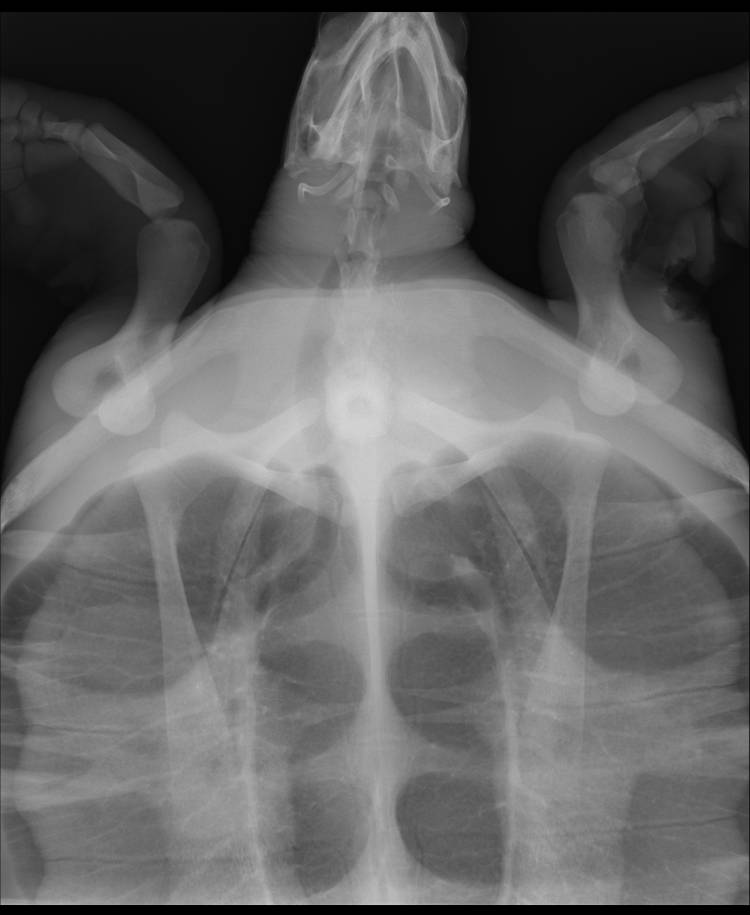
X-rays of the turtle's injured flipper revealed that despite the wound looking serious, there were no breaks (a good thing as this often requires the flipper to be amputated). We were able to clean the wound and will ensure that it is allowed to heal naturally. The turtle is currently on a course of antibiotics to cure any undetected infection.

Although it looks dire, this wound should heal fully with sufficient time and care. Photo courtesy of Tenikwa.
Despite his external injuries, X-ray results were promising.

An additional concern is that the turtle's digestive system might not be functioning properly - blockages are common due to plastic litter ingested at sea and the scar tissue it forms. Due to the fact that turtles have slow systems, it will be a while longer before we know with certainty what condition he is in, but we are in the process of trying to feed him and are remaining optimistic.

The Two Oceans Aquarium staff decided that this turtle needed a name instead of just a number. After much deliberation, we settled on "Moya" which is isiXhosa for "air" or "wind" - a reference to his aeroplane journey to the Cape. This ties into the theme of naming rescued turtles in reference to the circumstances that brought them to the Two Ocean Aquarium's rehab-and-release centre - Sandy, Bob and the soon-to-be introduced Nanuke all follow this theme.

Photo courtesy of Talitha Noble.

Moya is not out of the woods yet - he is stable, but his condition is still very serious and we are providing him with ongoing care to ensure that there are no digestive problems, or infections related to the old wound on his flipper. We will keep you posted about the progress of Moya and the other turtles in our rehab-and-release centre.

Rest well young one, you've had a long journey. Photo courtesy of Talitha Noble.

How can you help?

Green sea turtles, together with loggerheads, leatherbacks and the occasional hawksbill turtle, are all threatened species that need our help to survive in South Africa's waters. Here are a few ways that you can help them and other animals to have a fighting chance:

Photo courtesy of Talitha Noble.
blog comments powered by Disqus
E_NOTICE Error in file config.master.php at line 272: Undefined index: MAIL_PORT